您当前的位置:
首页
>
专题
>
自然资源公开
>
通知公告
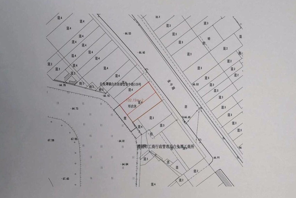
醴陵市自然资源局土地确权公告(邓启洪)
发布时间:2021-04-27
访问:
次
作者:醴陵市自然资源局
来源:醴陵市自然资源局
字体[
大
中
小
]
编辑:网站运维
【打印本页】
【关闭窗口】
分享到: